ކަނޑުގެ ލޮނުގަނޑު އުފުލުން
ރާއްޖެ ދުނިޔެ ކުޅިވަރު ވިޔަފާރި ލައިފްސްޓައިލް ރިޕޯޓް މަލްޓިމީޑިއާ ތައުލީމް ސަން ޕޮޑްކާސްޓް
ރާއްޖެ ރިޕޯޓް ދުނިޔެ ވާހަކަ ވިޔަފާރި ލައިފްސްޓައިލް ދީން ކޮލަމް މަލްޓިމީޑިއާ
date_range އަންގާރަ 10 މާޗް 2026
International Edition +
SSTV
INTERNATIONAL EDITION SSTV LIVE
ރާއްޖެ ކުޅިވަރު ބޭރު ކުޅިވަރު ރިޕޯޓް ދުނިޔެ ވާހަކަ ވިޔަފާރި މުނިފޫހިފިލުވުން ލައިފްސްޓައިލް ދީން ކޮލަމް ތައުލީމް މަލްޓިމީޑިއާ ސަން ޕޮޑްކާސްޓް
date_range ތާރީހުން ހޯދާ
close
5 day 21 hour ago

ލޮނުގަނޑު އުފުލޭ މިންވަރު އަންދާޒާ ކުރުމުގައި ގޯސްތަކެއް

1 year 5 month ago

"ކަނޑުގެ ލޮނުގަނޑު އުފުލުމަކީ އެންމެ ގައުމެއްގެ ކަމެއްނޫން"

6 year 4 week ago

ބައެއް ރަށްރަށަށް އުދަ އަރައި ގެއްލުންތަކެއް

6 year 4 month ago

ހިފެހެއްޓި ލަންކާގެ ހަތް މަސްބޯޓު ހުޅުމާލެއަށް ގެންގޮސްފި

10 year 7 month ago

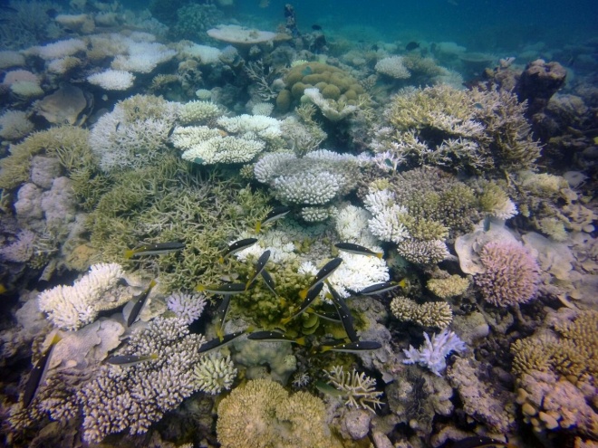
އއ. އަތޮޅުގެ މުރަކަ ފަރުތަކުގެ 60 ޕަސެންޓް ވަނީ ހުދުވެ، ނެތިގެން ދިއުމުގެ ބިރު ހީވެފައި!

މަލްޓިމީޑިއާ  

ލަންކާއަށް އެހީވާން ސަން ސިޔާމް ގްރޫޕުގެ ފަންޑްރެއިޒިން ފޯރިއާއެކު ކުރިއަށް

ނޮވެންބަރު 3 ގެ އުދުވާނީ ހަމަލާއަށް 37 އަހަރު ފުރުން ފާހަގަ ކުރުން

ދެކޮޅު ހަދަހަދައި އޮއްވައި މީޑިއާ ބިލް ފާސްކުރުން

ސިޓިންރޫމުން ބޭރަށް ނިކުމެ ޔާމީންގެ ޕީއެންއެފުން ބޭއްވި "ވޭކްއަޕް" ޖަލްސާ

ތުރުކީން ރާއްޖެއަށް ހަދިޔާކުރި މަނަވަރު ރަސްމީކޮށް ހަވާލުކުރުން

keyboard_arrow_left keyboard_arrow_right
10 year 9 month ago

ފަތުރުވެރިން ގޮވައިގެން ދަތުރު ކުރި ޑައިވިން ދޯންޏެއް ފަރަށް އަރައިފި

1 decade 2 month ago

2050 އަންނަންވާއިރަށް ކަނޑުތަކުގައި މަހަށްވުރެ ޕްލާސްޓިކް ކުނި ގިނަވާނެ: ދިރާސާ

1 decade 4 month ago

ދުނިޔޭން މަދުން ނޫނީ ނުފެންނަ މަހެއް ރާއްޖޭގެ މަސްވެރިޔަކު ބާނައިފި

1 decade 10 month ago

ވޭތުވެދިޔަ އަހަރުތަކުގައި މޫދުގެ ލޮނުގަނޑު އާދަޔާހިލާފު ބާރުމިނުގައި އުފުލިއްޖެ: ދިރާސާ

އިތުރު ޚަބަރު
މަޤުބޫލު ޚަބަރު
  1. ވަންޕްލަސް 15ޓީގެ ފަރުމާއާއި ސިފަތައް ހާމަކޮށްފި

  2. އެޕްލްގެ ފުރަތަމަ ފަތްޖަހާލެވޭ އައިފޯނުގެ ފަރުމާ ލީކްވެއްޖެ

  3. ތެޔޮ ސަލާމަތް ކުރުމަށް ބަންގްލަދޭޝްގެ ޔުނިވާސިޓީތައް ބަންދު

  4. ދުނިޔޭގެ އެންމެ ކުޑަ ޔޫއެސްބީ ފްލޭޝް ޑްރައިވް ނެރެފި

  5. ތެޔޮ އެތެރެކުރަން ކުރާ ހޭދަ ބޮޑުވާތީ، ކަންބޮޑުވުން

  6. ހައްޔަރުކުރި ބިދޭސީއަކަށް އަނިޔާކުރިކަމުގެ ތުހުމަތެއް

  7. އެޗްއާރްސީއެމުން ގިނައިން ބެލީ ގައިދީންނާގުޅޭ މައްސަލަތައް

  8. އެންޑޯމެޓްރިއޯސިސްއަށް ހޭލުންތެރިކަމުގެ މަސް ފާހަގަކޮށްފި

  9. ތަރާވީޙް ގަޑީގައި ކްލާސްތައް ބާއްވާތީ އެކަމުގެ ކަންބޮޑުވުން

  10. ޕްރޮފެސަރު ނަޤީބުލް ޢައްޠާސް އަވަހާރަވެއްޖެ!

MEDIA
Ma. Eureka
Vaidheri Hingun,
Malé, Maldives
20047
Tel : 3312747
Fax : 3323789
  • Contact Us
  • Privacy Policy
  • Advertise
  • Terms and conditions
  • About Sun
  • Election Airtime Usoolu
  • Like us sunmv
    Follow Us sunbrk
Download Sun App
v 4